Long before the Wright Brothers transformed flight and NCR became an industrial giant, another name defined Dayton’s manufacturing might: Barney & Smith.
From a modest railcar works founded in the mid-1800s, the company grew into one of the largest employers in Dayton and one of the nation’s premier railroad car builders.
Its huge complex produced passenger and freight cars that traveled across the country, but disaster and changing times led the company to fade into history when Dayton’s other big names were rising to national fame.

Origins, Founders, and Early Leaders
The company was originally founded in 1849 on Keowee Street opposite Monument Ave.
The founders were Eliam Eliakim Barney, and Ebenezer Thresher, along with Elijah Packard, and its original name was Thresher, Packard & Company.
Barney was a Dayton educator and businessman, and Thresher was a Baptist minister who also owned the Thresher Paint Company.
There were a few early name changes to reflect some coming and goings in the executive ranks. Packard passed away, and later Caleb Parker joined the company, which became known as Barney, Parker & Company.
It would be given its more recognizable name after Parker retired in 1864, and Preserved Smith was promoted to partner. In 1867 it was renamed The Barney & Smith Manufacturing Company, with J. D. Platt, E. J. Barney, and A. E. E. Stevens joining Elaim Barney.
In 1892 the firm would be incorporated as The Barney & Smith Car Company.
Growth, Expansion, and Earning a National Reputation
The company manufactured a wide variety of products including wooden passenger cars, freight cars, and street railway cars.
Barney and Smith’s quality was one of its defining features, and the company “became highly touted for the extremely high level of craftsmanship and elegance of its cars.” It was said that Barney himself “would tolerate nothing but the best craftsmanship!”
Early on the firm also produced agricultural implements, but growing demand for railway cars caused the company to focus on that line of business exclusively.
Barney and Smith first produced sleeping cars in 1855, which were sold “ready-to-run, including all blankets, quilts and pillow cases.”
As of 1866, the company employed 350 workers and its output was 20 freight cars and two passenger cars pre month.
But the Post-Civil War years were the company’s most successful: from the 1870s–1890s, Barney & Smith was one of the nation’s leading railcar builders.
Eliam Barney, who at various points in his wide-ranging role “acted as a salesman, directly supervised the lumber yard, and gave attention to all kinds of new developments in the car building industry,” remained active in the company until he passed away in 1880. One of his sons, Eugene Barney, eventually took over the company. (Eugene was also the visionary behind the Dayton Arcade.)
By the late 1800s, the company also produced interurban and street railway cars in large quantities, which were sold all across the Midwest.
Overall, Barney and Smith was Dayton’s biggest employer for many years, long before the rise of NCR. It also was “reportedly the largest car builder in the nation” before Pullman opened its major Chicago plant in 1881.
Around the turn of the century, it employed over 1,700 with a monthly payroll of $75,000, and its capacity was “20 freight cars per day and 30 passenger cars per month” (“Monument to Commercial Energy,” DDN 7/7/00)
Many of its workers were Hungarian immigrants who after 1906 lived in an ethnic enclave known as the Kossuth Colony, built by labor contractor Jacob Doffee Moskowitz.
A newspaper article about two dining cars that Barney and Smith manufactured in 1899 for the Southern Railway Company demonstrate the company’s craftsmanship:
“New and original in design; the contours are radically changed from what has been used in car construction. The upper deck is formed by a large dome-shaped ceiling, the lower deck by two smaller domes, impressive at once of dignity and elegance, having the appearance of a cathedral effect rather than of a railway car … The architecture of the interior is of the Empire style. The woodwork is of specially selected St. Jago Mahogany, and is relieved by carving and marquetry work of artistic design; the decoration of the ceiling is in gold on an oil painted canvas background, being done in blended colors of Pompeian red, golden tan and amber, giving warmth and richness of tone.”
Other elements included “luxurious velvet Brussels carpet,” the “finest French plate window panes” and curtains made “of a special watered silk design” made custom for the company. (Model, Dayton Herald, 8/14/99)

Challenges to Growth and Eventual Decline
Despite its powerhouse status in the earlier decades, several factors both internal and external to the company put a damper on its growth and eventually led to its decline and closure.
As the company matured, it was “relatively unconcerned with innovation and patent development,” which allowed other firms including Chicago’s Pullman Company, to overtake Barney and Smith. The Dayton company also did not thrive in its transition from wooden to steel rail cars, which began to accelerate around the turn of the century.
The company was affected by economic downtowns such as the Panic of 1893. But 20 years later, a natural disaster would prove far more damaging to Barney and Smith.
The Great Flood of 1913 did major damage to its facilities and equipment. One account explains that “stockpiles of wood floated downriver” and “some of it was found as far south as New Orleans.” The company didn’t fold immediately but its operations were drastically reduced and it went into bankruptcy.
It would be practically out of business by 1921 and officially close in 1923, putting an end to its run just shy of 75 years.
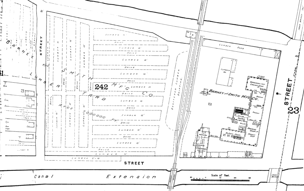
Where was Barney and Smith’s Factory Located?
We’ve previously mentioned the general location of Keowee and Monument. Interestingly, the location was chosen prior to Dayton having any rail service at all.
But it ended up near the city’s main rail lines, an ideal location for the business. We can use old maps to see various parts of the sprawling factory complex.


The location of the factory today:

What Remains Today of Barney and Smith? Rail Cars at Carillon Park
While the majority of the manufacturing buildings are long gone, a few structures from its sprawling complex survived, including the Allied Supply Co buildings on Monument Ave.
Beyond that, one can find two Barney and Smith cars at Carillon Historical Park just south of downtown.
Inside Culp’s Cafe is a 1903 interurban car (#602), which remained in service until the 1930s, was later used as a residence, and was left abandoned before being saved and eventually restored.

And in the Transportation Center building, one can also find a luxury car, Detroit & Mackinac #100, which Barney & Smith also built in 1903 and stayed in use until the 1960s. Its sign says that “tickets for luxury cars, like this one, cost a little extra, but included benefits regular cars did not: a porter, heat, and running water in the bathrooms.”




Additional Sources
https://www.midcontinent.org/rollingstock/builders/barney-smith.htm
https://www.american-rails.com/smith.html
A History of the Barney & Smith Car Company, H. M. Estabrook, 1911
Article edited 11/21/25 to reflect surviving B & S buildings




Leave a Reply